今天發陸警!卡努挑戰強颱「新北預測達放假標準」 暴風圈襲台「整團紫爆」劇烈時間曝光
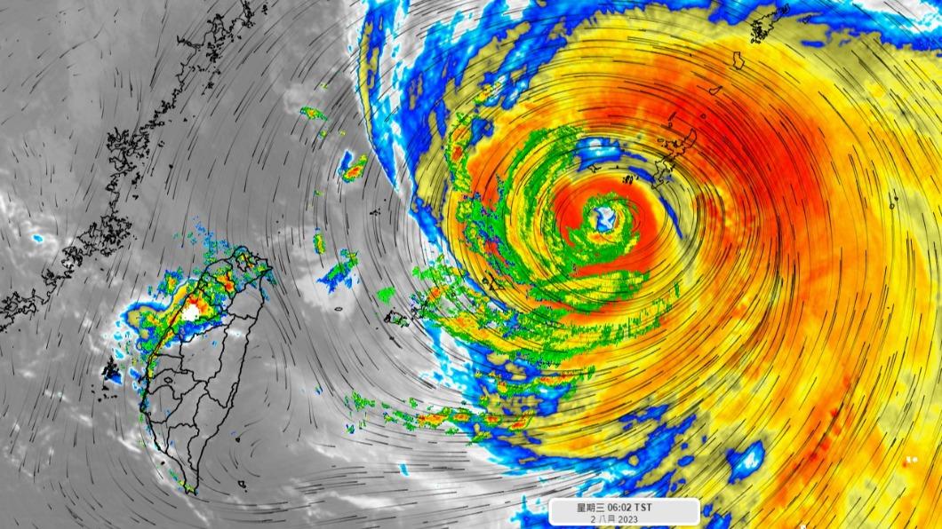
中颱杜蘇芮前腳剛走,馬上就有中度颱風「卡努」緊跟在後,目前中央氣象局已經發布海上警報,正在台灣東北方的海面上行進,目前從各國的預測路線來看,有極大的可能觸及台灣陸地,尤其卡努的強度又在逐漸增強,對台灣的影響不可小覷。

圖片來源:《中時新聞網》、《TVBS》、《ETtoday》、《Yahoo奇摩新聞》
Advertisements
據《ETtoday》報導,卡努的強度在近日略微增強,目前已經達到中颱的上限,繼續發展下去的話,不排除增強為強颱,按照目前的行進速度,預計在24小時內,暴風圈的範圍,將會涵蓋整個北台灣的近海,從今天(2日)開始,一直到周五(4日)將會是最接近台灣的時候,氣象局目前也預測,將可能在下午一直到晚上左右,發布颱風陸上警報,最可能的時間點約在今天的下午5點半左右。


Advertisements
因為卡努暴風圈可能登陸,除了北台灣都壟罩在強烈的雨勢中,明天晚上開始,由於西南風的增強,中南部的風雨也會越來越劇烈,根據臉書粉絲專頁「台灣颱風論壇|天氣特急」透露,目前卡努西進的暴風圈幅度,預計基隆、北海岸、宜蘭北端,都會在警戒範圍中,氣象局預報員朱美霖也說,今天開始北台灣雨勢較明顯,隨著暴風圈接近,降雨越來越大,外島也明顯有強風趨勢,不可不防範。


