楊柳颱風衝向台灣「影響時間提早了」!8縣市「暴風侵襲率破8成」有望放颱風假
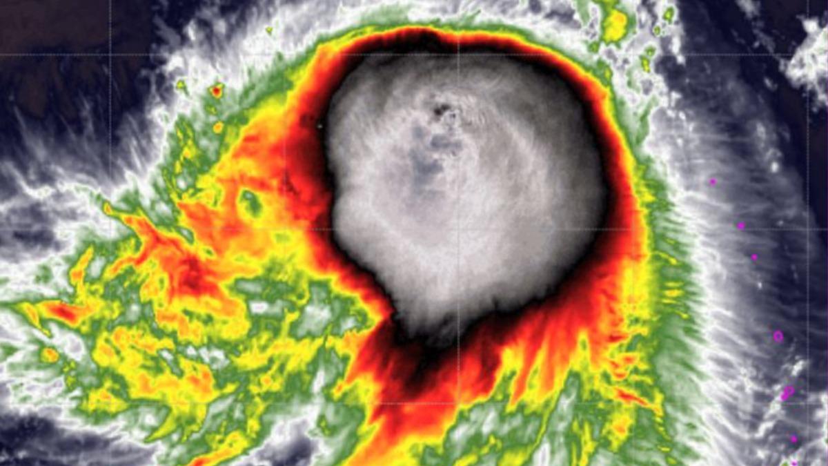
根據《ettoday新聞雲》報導,第11號颱風楊柳正迅速朝台灣逼近,氣象單位預測其強度可能在11日清晨增強為中度颱風。週二(12日)預計將同步發布海上及陸上警報,週三至週四將是對台灣威脅最嚴重的時期。

圖片來源:中央氣象局
Advertisements
中央氣象署最新分析顯示,楊柳目前位於鵝鑾鼻以東約1500公里海域,以每小時21公里的速度向西移動。預計13日將直接從花東登陸穿越台灣本島,各地需嚴加戒備。

圖片來源:中央氣象局
最新「120小時颱風暴風圈侵襲機率」數據顯示,新竹市、新竹縣、苗栗、台中、彰化、南投、宜蘭及花蓮等8個縣市,暴風侵襲機率均突破80%。大台北地區包含台北市、新北市、桃園市的侵襲機率也超過70%,雲林、基隆、嘉義及金門等地區同樣需要提高警戒。
